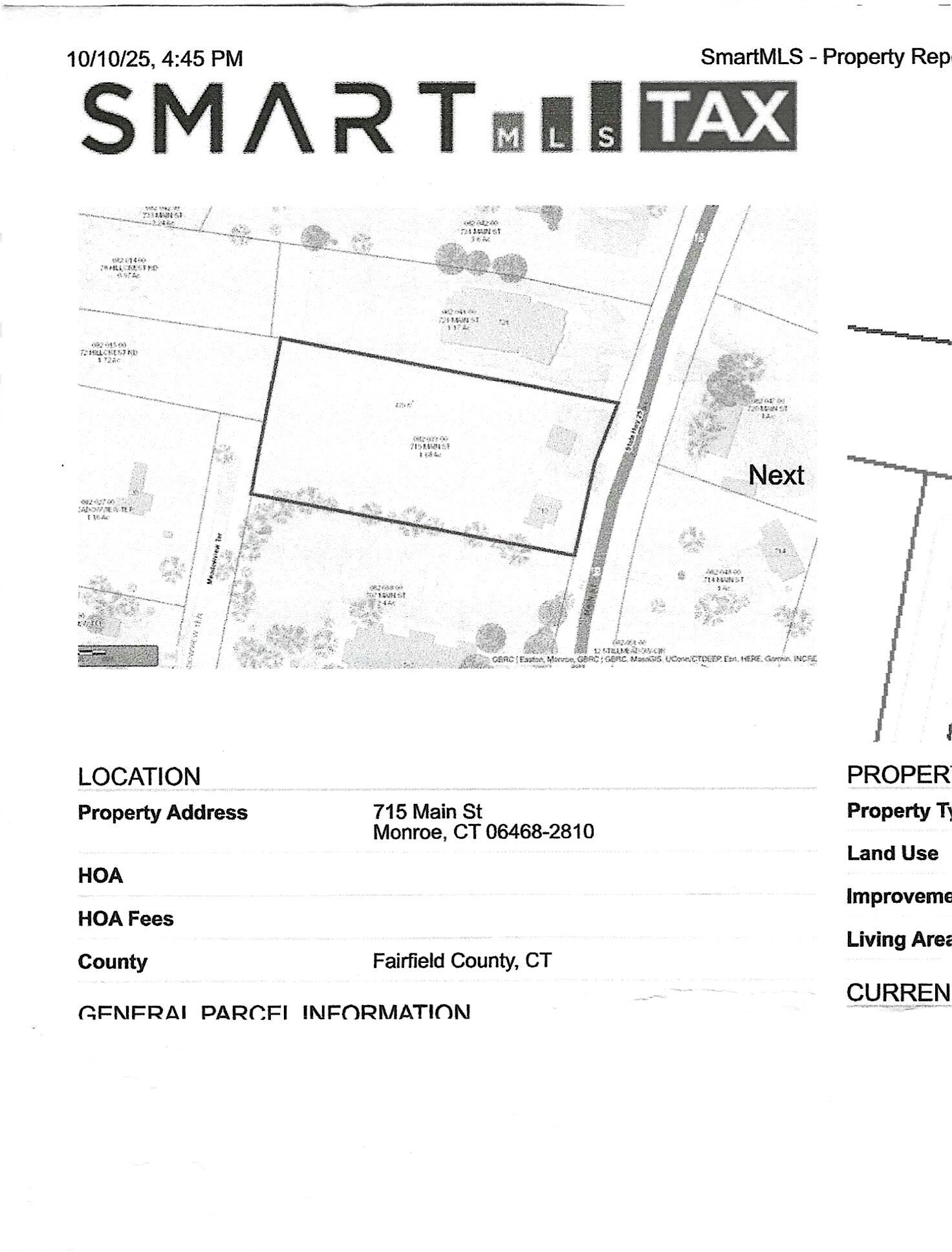
715 Main Street

Monroe, Connecticut 06468

Status
For Sale
Square Feet
900
Beds
0
Price
$499,000
Type
Commercial For Sale
Garages
Baths
1
MLS
24139473

Price

$499,000

Contact an Agent

Interior Details

Interior Size
900 Sq Ft
Bedrooms
0
Bathrooms
1
Rooms Total
Garage

Exterior Details

Lot Size
1.68 Acres
Roof
Asphalt Shingle
Sewer
Septic
Construction
Construction
Cooling
None

Other Information

Property Tax
$10,224
Assessed Value
$356,600
Elementary School
NULL
Middle School
NULL
High School
NULL

About Property

This is a rare 1.68 acre mix use parcel. Retail, commercial, residential develop site. Old house and small building on property have little value. House is livable and will be good as a construction office during development. Great price! Possible some short term partial owner financing.
Listed by RE/MAX Right Choice, Frank Delvecchio. Data sourced from SmartMLS

Schedule Showing